Log in to my account Barrel Horse World
Come on in Folks on-line

Today is

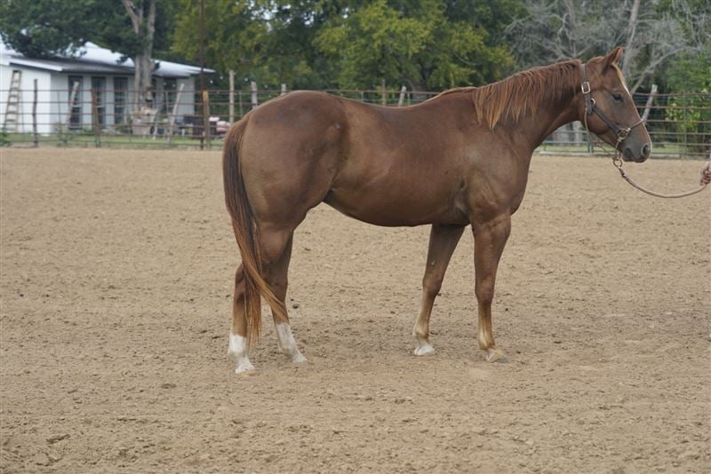
Shining Frost Fling

Ad #390659 | Viewed 1059 times

Share Facebook Twitter Pinterest

Gentle 3yo Gelding, Barrels/Poles, Rope and Goats Horse Prospect

Registered Name: Shining Frost Fling Age: 3
Price: $7,500.00 Color: Sorrel
Sire: A Streak Of Sunfire
Dam: Rowdy RR Dos Sparks Location: Bellville
Height: 14 State TX
Sex: Gelding

Radiographs not available


Jake is the sweetest and most gentle gelding that can go any direction. He has been started right, taken to work cows and safe for anyone to ride. He has been lightly started on the barrels and poles, started on the heel side of the sled and would make a great breakaway or goats horse. He has been on the backburner at my house. He has been taken to work cows and small kids have rode him to pen cows. He's a great colt, I just have too many. Jake is easy to catch in a large pasture, loads, stands for the farrier and very quiet.

His parents were both 1D barrel horses. His dam is a sister to the horse that I just placed and ran a 15.0 at Pasadena Pro rodeo on. His dam has actually also ran a 15.0 at Pasadena earlier this year at the jackpot. He has a ton of potential!

He is UTD on all vaccines, worming, coggins and trims. He has good feet and an easy keeper.

  • Runs poles
  • © Copyright 2002- BarrelHorseWorld.com All rights reserved including digital rights

    Support - Contact / Log in to my account


    Working Truck World Working Horse World Cargo Trailer World Horse Trailer World Roping Horse World